Land Development & Entitlement


Developing land is complicated and detailed. We take care of it all for you: the entitlement process, site plans and approval, setting up utilities, and more. We help you secure the necessary documents, approvals, and plans to transform and elevate any plot of land where you hope to make a vision a reality.  

Our land development services are just as personal and customized as the rest of our work at Creative Services LTD. From one home to many, let’s team up and breathe new life and possibility into a community.


Screen Shot 2021-01-06 at 9.38.50 AM.png

Lake Anna.

It’s always rewarding when we can build in areas that inspire us. We are working to build 10 new homes along the waterfront of Lake Anna. These houses will become places where families make memories for generations to come. By 2022, this stunning property will welcome people headed for a relaxing vacation or become homes for full-time residents. 


UNADJUSTEDNONRAW_thumb_1b6e.jpg

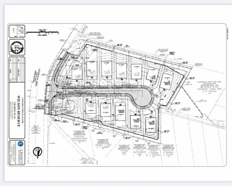
Lucasville.

We’re designing a welcoming community just minutes away from Historic Manassas, VA. Historical landmarks and community favorites already make this area a desirable place to call home. A major Innovation Gateway Plan is taking shape to add new employment opportunities for residents, too. When we are complete, 12 new 3,400 square-foot homes will welcome young families, entrepreneurs, and long-time locals alike.


Screen Shot 2021-04-15 at 3.55.24 PM.png

Prescott.

In the heart of Historic Manassas, we’re working to build 24 homes positioned within walking distance from an Amtrak Station. Each of the three-and-a-half-story townhomes will feature modern design elements, custom features, and fluid layouts for any size family.


 
CONTACT US